Welcome to 714 Maple Street in Conshohocken! Alderfer Auction presents a fantastic investment opportunity in this highly desirable Borough of Conshohocken located minutes from Philadelphia and King of Prussia.
Tracts 1, 2 and 3 will be sold via Multi-Parcel Auction held live on site in Conshohocken and by phone on Thursday, July 22nd at 4:00 PM. Parcels include:
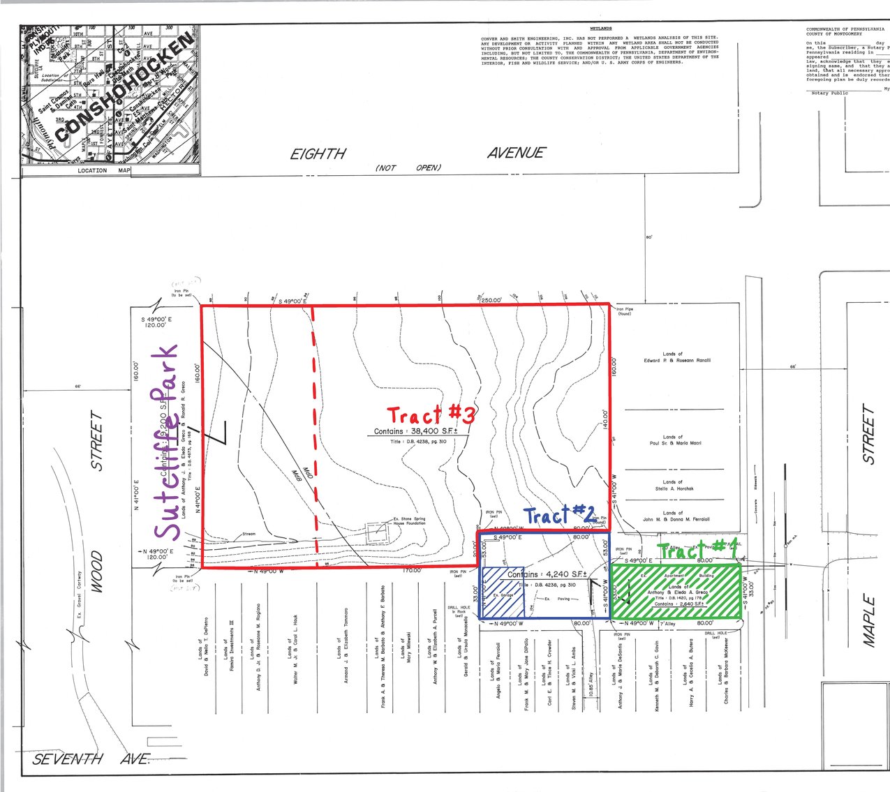
Tract 1: Apartment complex with 6 units.
Tract 1 is a 5,120 sq, ft. apartment complex with 6 units, of which 3 are occupied. 5 of the units feature 1 bedroom, and 1 unit features 2 bedrooms. Situated on .06 acres and located steps away from Sutcliffe park, this property features convenient commuter access to major highways as well as shopping, restaurants and schools. Recent improvements to the building include: Endless gutters installed (both sides); The roof was replaced within the last 5-8 years; The chimney has been repointed within the last 2 years. CLICK HERE to view more information on Tract 1.
Tract 2: 3-Car Garage/Storage Building
Located on a .09 acre lot, this building features 3-car storage with single and double doors operated by remote control. CLICK HERE to view more information on Tract 2.
Tract 3: Two lots of vacant land on West Eighth Avenue to be sold individually or together, totaling 1.3 acres. Tract 3 abuts Sutcliffe Park.
Tract 3 is comprised of two lots of .44 acres and .88 acres respectively, totaling 1.3 acres which abuts the beautiful Sutcliffe Park. This parcel had registered subdivision plans by Commonwealth of PA, County of Montgomery in 1992. Zoning is BR1. CLICK HERE to view more information on Tract 3.
Tracts 1, 2 and 3 will be sold via Multi-Parcel Auction held live on site in Conshohocken and by phone on Thursday, July 22nd at 4:00 PM.
Purchase tracts individually, in combination with the other tracts, or all 3 tracts in their entirety.
Address: 714 Maple St., Conshohocken, PA 19428
OPEN HOUSES:
To better assist you, appointments are preferred -
CLICK HERE to sign up
Saturday, June 19th from 1:00 PM - 4:00 PM
Wednesday, June 30th from 2:00 PM - 5:00 PM
Thursday, July 8th from 2:00 PM - 5:00 PM
NOTE: Tract 1 - Units 1, 4 and 6 will be available for previewing at any time. Units 2, 3 and 5 are occupied and are only available for previewing during scheduled Open House times.
Realtor-assisted showings available any time for unoccupied properties and vacant land. Email RealEstate@AlderferAuction.com
Broker participation is welcome!
Registration day of auction will begin at 3:00 PM
Sale is subject to seller confirmation
A 6% Buyer’s Premium will be added to the hammer price to determine final purchase price
The winning bidder will hand deliver the certified funds or cash for $10,000 per tract at time of auction.
Settlement on or before September 30, 2021
See below for more information on Multi-Parcel auctions.
Zoning is BR1 Residential District One:
Alderfer Auction will be adhering to all COVID-19 Guidelines.
For all inquiries, contact Alderfer Auction's Real Estate Team
Sherry Russell | Real Estate Specialist
RealEstate@AlderferAuction.com | 215-393-3000
Multi-Par Auction
What is it?
A Multi-Parcel Auction divides properties into multiple tracts, allowing a property to be sold in 3 ways: in its entirety, as individual tracts, or as any combination of tracts. This style provides maximum flexibility by giving buyers the option to only bid on the tracts of interest, while generating the greatest value and transparency for the seller.
How does it work?
In a Multi-Par Auction, Round 1 of the bidding begins by establishing a starting bid for each tract, done so in standard auction format. Once the high bids are established on all tracts, Round 1 ends.
In Round 2, buyers will have the opportunity to raise bids on any desired combination of tracts in the predetermined auction-increments (typically $1,000). If a buyer wants to purchase all tracts, the buyer must have the high bid on each tract. A bid, on a combination of parcels, can be broken up as buyers raise the bid on individual parcels, resulting in a total bid that is greater than the original combination bid.
Overall, bids are placed with the auctioneer. As new raise-bids and tract-combinations are established, the Multi-Par Auction tally-board is updated to reflect: all combinations, the respective high bids, and the “back-in-bidder” amounts. The auction will continue until there are no more raise-bid requested.




