Alderfer Auction presents a fantastic opportunity to own a multi-car garage/storage building in highly desirable Borough of Conshohocken located minutes from Philadelphia and King of Prussia.
Tract 2 is located on a .09 acre lot. This building features 3-car storage with single and double doors operated by remote control.
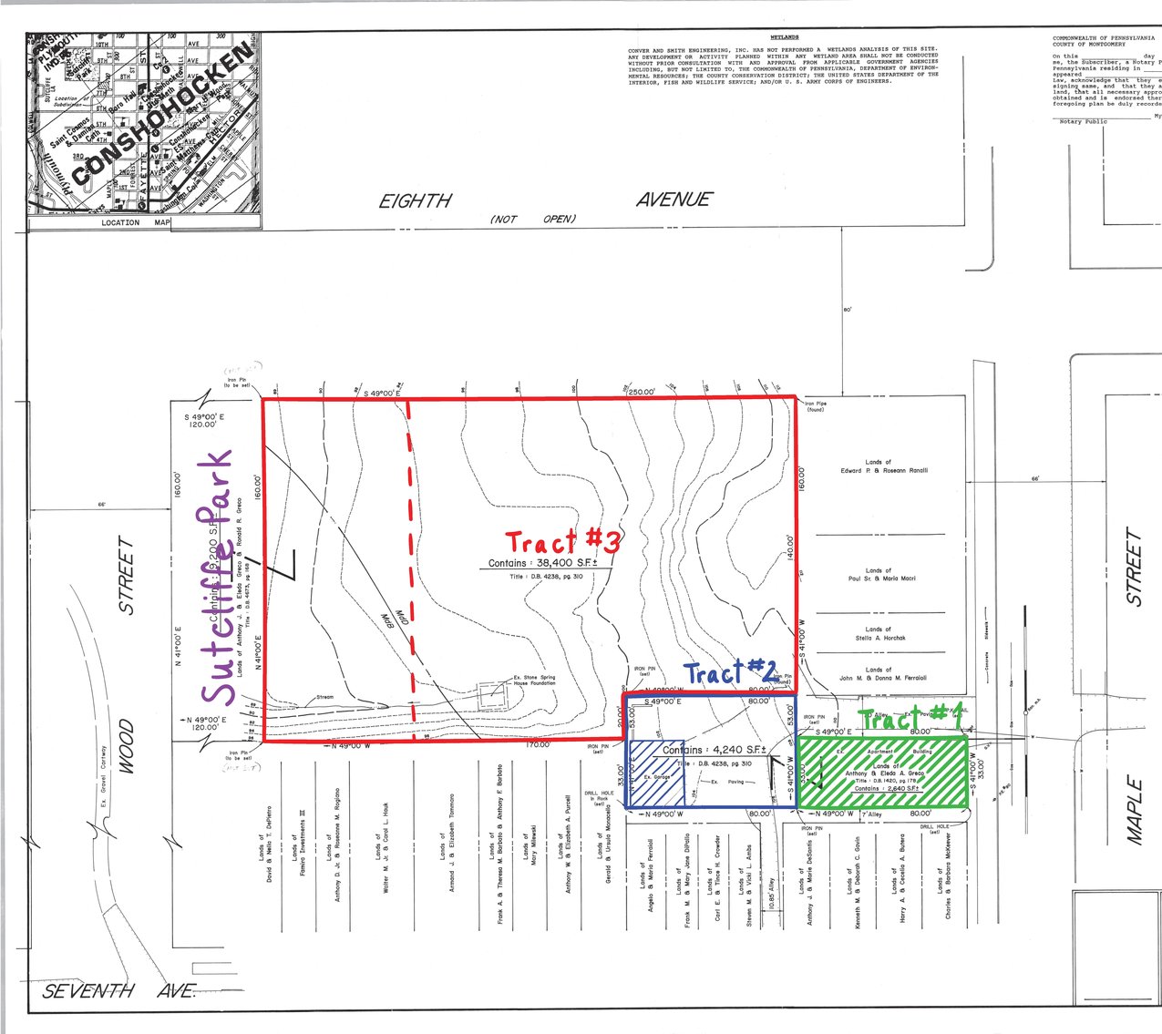
This parcel will be sold separately and in conjunction with 2 other tracts to include: Tract 1: Apartment complex with 6 units and Parcel; and Tract 3 - Two lots of vacant land on West Eighth Avenue to be sold individually or together, totaling 1.3 acres.
Tract 2 along with Tracts 1 and 3 will be sold via Multi-Parcel Auction held live on site in Conshohocken and by phone on Thursday, July 22nd at 4:00 PM.
Address: 0 Maple St., Conshohocken, PA 19428
OPEN HOUSES:
To better assist you, appointments are preferred - CLICK HERE to sign up
Saturday, June 19th from 1:00 PM - 4:00 PM
Wednesday, June 30th from 2:00 PM - 5:00 PM
Thursday, July 8th from 2:00 PM - 5:00 PM
NOTE: This garage houses personal property and is not available to tour inside. Viewing of interior of garage at Alderfer Auction Open House only.
Realtor-assisted showings available any time. Email RealEstate@AlderferAuction.com
Broker participation is welcome!
Registration day of auction will begin at 3:00 PM
Sale is subject to seller confirmation
A 6% Buyer’s Premium will be added to the hammer price to determine final purchase price
The winning bidder will hand deliver the certified funds or cash for $10,000 per tract at time of auction.
Settlement on or before September 30, 2021
View Tract 2 Tax and Property Information
View Tract 2 Terms and Conditions
View Tract 2 Broker Agent Registration and Absentee Bid Registration
Zoning is BR1 Residential District One
Alderfer Auction will be adhering to all COVID-19 Guidelines.
For all inquiries, contact Alderfer Auction's Real Estate Team
Sherry Russell | Real Estate Specialist
RealEstate@AlderferAuction.com | 215-393-3000
BIDDER TERMS AND CONDITIONS These Bidder Terms and Conditions apply to the sale by auction, conducted by Alderfer Auction, 501 Fairgrounds Road, Hatfield, PA 19440, PA License No. AY002260 (“Auctioneer”), of the following real property, of approximately .1 acres, with any and all buildings and improvements thereon (the “Property”):
Street: 0 Maple St Conshohocken PA 19428
Municipality: Conshohocken Boro County: Montgomery
Property identification number: 05-00-06268-054
These Bidder Terms and Conditions constitute a legal, valid, binding, and enforceable contract between Auctioneer and each person participating in the Auction, whether as a bidder, buyer, or otherwise. These bidder terms and conditions also form the basis for the contract of sale between the Seller and the buyer.
1. Auction Conducted Under and In Accordance with These Bidder Terms and Conditions, Additional Terms and Conditions Posted by Auctioneer, and Announcements Made at the Time of the Auction, and Applicable Law. The Auction is conducted under and in accordance with these Bidder Terms and Conditions, any and all other terms and conditions posted by Auctioneer (whether at the Property or online), any announcements or corrections made by Auctioneer at the time of the Auction (whether at the Property or online), and applicable law. By participating in the Auction, whether at the Property, online, telephonically, or through any other means (including absentee bid), each participant agrees to be bound by, and to abide by, these Bidder Terms and Conditions.
2. Bidder Registration; Bidder Qualification. All persons desiring to bid at the Auction, must register to bid. In order to register to bid, each potential bidder must provide such information (including identifying information and qualifications) as requested by Auctioneer. Each person registering to bid represents to the Auctioneer that such person is legally able to enter into a contract. Auctioneer may refuse to accept a bidder registration from any potential bidder, may refuse to issue a bidder number or online bidder account to any potential bidder, and may revoke any bidder registration, number, or account. Each person registering to bid, or otherwise participating, at the Auction acknowledges and agrees that such person has read, understands, and agrees to be bound by, these Bidder Terms and Conditions. In Auctioneer’s discretion, bids may be received from a person who has not registered to bid, and/or who has not satisfied all requirements for bidder registration, and/or who has not been issued a bidder number or established a bidder account, and, by bidding, such person will be bound by these Bidder Terms and Conditions. Auctioneer may establish such Bidder qualifications as Auctioneer determines, in Auctioneer’s discretion, are reasonably necessary or appropriate. Bidder qualification provisions (which may include proof of the availability of funds) are intended for the benefit of Auctioneer and Seller, and create no rights or interests in any other persons, including competing Bidders. Auctioneer and/or Seller may (but will not be required to) waive any Bidder qualifications, either globally or on a case-by-case basis.
3. Auction Conducted in the Commonwealth of Pennsylvania. The Auction is conducted in the Commonwealth of Pennsylvania. The Property is offered for sale in the Commonwealth of Pennsylvania, these Bidder Terms and Conditions are entered into in the Commonwealth of Pennsylvania, all bids and payments are received in the Commonwealth of Pennsylvania, and all contracts between Seller and buyer are formed and entered into in the Commonwealth of Pennsylvania.
4. Buyer’s Premium. The Property is subject to a Buyer’s Premium, which will be paid by the winning bidder to Auctioneer for Auctioneer’s own account. The Buyer’s Premium will be an amount equal to 6 percent (6%) of the high bid amount, and will be added to the high bid amount to determine the final Purchase Price.
5. Access to Property and/or Online Auction Platform. Participants assume all risks associated with their presence at the Property and/or their access to any online auction platform utilized by Auctioneer. Any person may be denied access to the Auction, the Property, and any Online auction platform utilized by Auctioneer, and may be removed at Auctioneer’s discretion.
6. Nature of the Auction.
_X_ The property(s) will be sold Subject to Confirmation. This means that after the highest bid is determined at the Auction, Seller may decide to (i) accept such bid or (ii) reject such bid.
7. No Bid Retraction. No bidder may retract a bid that has been acknowledged by Auctioneer or that has been submitted online. Each bidder acknowledges and agrees that Auctioneer is acting in reliance on tendered bids in the conduct of the Auction, and that bid retraction is disruptive and interferes with the Auction, and that, as an inducement for Auctioneer to accept such bidder’s registration and for such bidder to bid at the Auction, each bidder agrees not to withdraw or to attempt to withdraw any tendered bid.
8. Absentee Bids; Remote Bidding. In Auctioneer’s discretion, Auctioneer may receive absentee bids and/or bids tendered by remote bidders (whether telephonically or otherwise). Absentee bids may be initiated and advanced in accordance with Auctioneer’s policies and procedures. Auctioneer will make reasonable efforts to execute absentee bids, but Auctioneer will have no liability to any absentee bidder for the failure to execute any absentee bids for any reason whatsoever. Each absentee bidder acknowledges and agrees that the Property may be sold to another bidder for the maximum amount of the absentee bid based on a bidding sequence that causes another bidder to reach the such amount first. If the execution of an absentee bid at its maximum amount would require Auctioneer to accept a bid that is less than a full bidding increment, Auctioneer has the sole and absolute discretion to acknowledge or reject such bid. An absentee bidder may authorize Auctioneer to advance the bid by one or more bidding increments after the maximum amount of the absentee bid is, or would be, reached. Auctioneer acts as the agent of the Seller only, and the receipt and/or execution of absentee bids will not create an agency relationship between Auctioneer and any Absentee Bidder.
9. Bid Increments. Bid increments are established and controlled by Auctioneer, and may be adjusted or modified in Auctioneer’s sole and absolute discretion.
10. Registered Bidders Responsible for Bids. Each registered bidder is responsible for all bids made using such registered bidder’s bidder number or bidder account. Auctioneer is not responsible for monitoring or policing the use of bidder numbers or bidder accounts. Absent a clerical error, Auctioneer’s records will be conclusive.
11. Withdrawal of Property by Auctioneer. Unless the Property is, in express written terms, put up at Absolute Auction, Auctioneer has the right to withdraw any Property from the Auction at any time prior to declaring the property sold to the highest bidder. Property put up at Absolute Auction may be withdrawn by Auctioneer if no bid is received within a reasonable time.
12. Property Sold “AS IS” and “WITH ALL FAULTS”. THE PROPERTY IS BEING OFFERED AND SOLD IN ITS “AS IS” CONDITION AT THE TIME OF THE AUCTION, WITH ALL FAULTS, INCLUDING ANY HIDDEN DEFECTS OF ANY NATURE. NEITHER AUCTIONEER NOR SELLER MAKES ANY REPRESENTATIONS, WARRANTIES, OR GUARANTEES WHATSOEVER, EXPRESS OR IMPLIED, REGARDING THE NATURE, VALUE, SOURCE, AUTHENTICITY, FITNESS, MERCHANTABILITY, AND/OR ANY OTHER ASPECT OR CHARACTERISTICS OF SUCH PROPERTY. NO STATEMENT ANYWHERE, WHETHER EXPRESS OR IMPLIED, INCLUDING VERBAL STATEMENTS MADE BY AUCTIONEER, WILL BE DEEMED A WARRANTY OR REPRESENTATION BY AUCTIONEER OR SELLER. EACH BIDDER ACKNOWLEDGES AND AGREES THAT SUCH BIDDER CANNOT RELY, AND HAS NOT RELIED, ON ANY REPRESENTATION, WARRANTY, OR GUARANTY MADE BY THE SELLER OR ANYONE ACTING AS AGENT OF THE SELLER, ORALLY OR IN WRITING, ABOUT THE PROPERTY, OR ANY OF IT. BY BIDDING, EACH BIDDER ACKNOWLEDGES AND AGREES THAT SUCH BIDDER HAS HAD A FULL AND FAIR OPPORTUNITY TO INSPECT THE PROPERTY, AND IS RELYING SOLELY ON, OR HAS WAIVED, SUCH BIDDER’S INSPECTION AND INVESTIGATION (i) IN DETERMINING WHETHER TO BID, (ii) IN DETERMINING THE AMOUNT OF A BID, AND (iii) IN BIDDING.
12A. The property is service for Public Water and Public Sewer.
12B. Any required Certificate of Occupancy from the local Municipality for the property will be the responsibility of the buyer. The buyer is also responsible for any repairs that are required by the Municipality.
13. Announcements. Subject to the limitation set forth in these Bidder Terms and Conditions, all terms and conditions and other announcements made by Auctioneer on the day of the Auction are binding and take precedence over any advertisements or listings.
14. Bidder’s Inspection. By bidding, each bidder acknowledges and agrees that such bidder has had a full and fair opportunity to inspect the Property, and is relying solely on, or has waived, such bidder’s inspection and investigation (i) in determining whether to bid, (ii) in determining the amount of a bid, and (iii) in bidding.
15. Description of Property. Unless otherwise expressly stated otherwise in writing, any description of Property is based solely on visual impression, and is given solely for identification purposes, and does not create any warranty, expressed or implied, or representation by Auctioneer.
16. Registration Deposit. In Auctioneer’s discretion, Auctioneer may require bidders to make a registration deposit in order to bid on the real Property. Any registration deposit of the winning bidder will be applied against the Purchase Price for the Property, and registration deposits made by others will be returned at the conclusion of the Auction.
17. Separately Deeded Parcels. If the Property consists of two or more separately deeded parcels, Auctioneer may, in Auctioneer’s discretion, put the parcels up for bid individually, as an entire group, and by various combinations, and the bids received by each method will be held until it is determined which method yields the highest aggregate Purchase Price. Bidding may be conducted in multiple rounds, and in a round robin fashion, and methods or combinations may be eliminated until the final method or grouping yielding the highest aggregate Purchase Price is determined.
19. Purchase and Sale Agreement. At the close of the bidding the winning bidder, or the bidder making the high bid subject to confirmation, will execute the Purchase and Sale Agreement for the Property (made available prior to the Auction). If the Auction is Subject to Seller’s Confirmation, Seller will execute the Purchase and Sale Agreement on Seller’s confirmation and acceptance of the high bid amount within 1 (1) hour after the Auction, and, if the Purchase and Sale Agreement is not signed by Seller within such period, the high bid amount will be deemed to have been rejected. The Purchase and Sale Agreement is available for review prior to the Property being offered, and is incorporated in and made a part of these Bidder terms and Conditions.
20. Deposit. A deposit of $10000.00 (Ten Thousand Dollars) per parcel will be held in certified funds made out to Alderfer Auction. Deposit will be held in a non-interest-bearing account. The winning bidder, or the bidder making the high bid subject to confirmation, will make a Deposit on execution of the Purchase and Sale of the Real Estate at the end of the Auction. If the Property is offered Subject to Seller’s Confirmation and Seller does not confirm high bid amount and sign the Purchase and Sale Agreement within One (1) hours after the Auction, the Deposit will be returned to bidder who made the high bid. If the winning bidder/buyer defaults, the Deposit will be forfeited.
21. No Buyer Contingencies. There will be no Buyer conditions or contingencies to the sale of the Property, except Seller’s delivery of good and marketable title.
22. Settlement. Unless otherwise agreed, the Settlement or Closing at which all of Seller’s rights, title, and interest in the Property will be transferred to the buyer, and at which the buyer will pay the Purchase Price, will occur on or before September 30, 2021.
23. Broker Participation. Alderfer Auction will pay a 2% commission to a real estate brokerage securing the winning bidder. The 2% commission is calculated on the final hammer bid amount on the signed Bidder/Broker form submitted to Alderfer Auction from a buyer represented by a broker and submitted 24 hours prior to start of the live auction. The highest received bid will be the opening bid at the live auction. All agent registration sheets will be marked with a date and time of arrival.
24. Real Estate Transfer Tax. Real estate transfer taxes will be calculated based on the Purchase Price (i.e., the high bid amount plus the Buyer’s Premium), and will be paid:
_x_ Divided equally between buyer and Seller.
25. Recording Fees. Buyer will pay the fees for recording the deed for the Property.
26. Settlement Fees and Expenses. Buyer will pay any and all settlement fees and expenses, including, without being limited to, title searches, title insurance charges, and survey costs.
26.1 Appliances left on premise at the time of the Auction will be sold with the real estate.
27. Apportionment. Taxes and all other periodic realty costs, if any, will be apportioned pro rata as of the date of the Closing. Seller will pay for all days up to and including the date of the Closing, and buyer will pay for all days following the date of the Closing.
28. Zoning; Land Use. Neither auctioneer nor seller makes any representations or warranties as to the zoning of the real property or any other land use restrictions affecting the real property. It is the responsibility of each bidder to make such inquiries and investigations as may be necessary to confirm the applicable zoning and land use restrictions affecting the real property. The purchase of the real property will not be contingent in any way on zoning or land use restrictions, or on whether a bidder or buyer may put the real property to any desired use. Each bidder acknowledges and agrees that such bidder is not relying on any representations by seller or auctioneer concerning zoning or other land use restrictions affecting the real property.
29. Lead-based Paint Disclosure. If the Property includes residential improvements constructed prior to 1978, Seller will complete a Lead-based Paint Disclosure Statement, if applicable.
30. Online Auction. The following terms and conditions apply if the Auction is conducted, in whole or in part, online:
30.1. Posted Times. All times are based on the Eastern Standard Time zone unless stated otherwise. Posted closing times and time displays are approximate. Auctioneer reserves the right to close early or extend the Auction at any time at Auctioneer’s sole and absolute discretion.
30.2. Records of Online Activity. Absent clerical errors, Auctioneer’s records will be final and conclusive.
30.3. Technology Disruptions. Auctioneer will not be responsible for technology disruptions, errors, or failures (including disruptions to bidding or the failure to execute, recognize, or record online bids), whether caused by (i) loss of connectivity, breakdown, disruption, or failure of any online auction platform, (ii) breakdown, disruption, or failure of a Bidder’s internet connection, computer, or system, or (iii) otherwise. Auctioneer may, but will not be required to, continue, suspend, delay, extend, reschedule, or close the Auction because of disruptions caused by technology failures, even after bidding has commenced.
30.4. Failures by Online Auction Platform Provider and its Affiliates or Contractors. Under no circumstances will Auctioneer be liable for any failure of any provider of an online auction platform to perform all or any of such provider’s obligations, or for the failure of any affiliates, employees, agents, representatives, or contractors of an online auction platform provider to perform their obligations regardless of whether such obligations are owing, directly or indirectly, to Auctioneer, or to Seller, or otherwise.
30.5. Auto Extend Feature. The auto-extend feature will be activated in the case of bids placed in the last 3 minutes prior to the closing of each lot. This prohibits all sniping software and activity. It is necessary to constantly refresh your browser during the last few minutes of the sale so that you are aware of any lot time extensions, as well as during the time extensions as they will continue to extend in 3-minute intervals until competitive bidding ends.
It is recommended that customers use the maximum bid option to avoid confusion at the close of the sale, however, if two customers place the same maximum amount, the computer will automatically take the first one placed.
30.6. Disclaimer. Auctioneer makes no representations or warranties, and disclaims any representations or warranties, (i) that any online auction platform or any related website or technology will be uninterrupted, error free or virus free, (ii) as to the results that may be obtained by using an online auction platform or any related website or technology, or (iii) as to the accuracy, completeness, reliability, security, or current nature of any online auction platform or any related website technology.
30.7. Winning Bidder Subject to Certification by Auctioneer. The final determination of the winning bidder is subject to certification by Auctioneer; and any email or electronic message (whether generated manually or automatically) is subject to such certification.
31. Pennsylvania Auction Law Applies. Auctioneer is acting as a licensed Pennsylvania Auction Company under and subject to the Pennsylvania Auctioneer Licensing and Trading Assistant Registration Act, 63 P.S. § 734.1, et seq.
32. Breach.
32.1. Seller’s Breach. If Seller breaches any of Seller’s obligations with respect to the Purchase and Sale Agreement, buyer’s sole and exclusive remedy will be return of the Deposit and any other monies actually paid by the buyer. Under no circumstances will Auctioneer or Seller be liable for incidental or consequential damages, including, without being limited to lost profits or reduced productivity. Specific performance is not available as a remedy to buyer.
32.2. Buyer’s Breach. If buyer breaches any of buyer’s obligations, buyer will forfeit the Deposit and any other monies actually paid to Seller or Auctioneer, and will pay all of Seller’s and Auctioneers costs and expenses (including reasonable attorneys’ fees and costs of litigation). If the Property is subsequently offered for sale (at auction or otherwise), buyer will be responsible for any and all costs and expenses incurred with respect there to, including, without being limited to, advertising and labor. Buyer will also be responsible for any shortfall between the Purchase Price established at the Auction and any subsequent lower purchase price for which the Property may be sold.
33. Risk of Loss. The risk of loss or damage to the Real Property is assumed by the Seller until Settlement, except for in the event of loss or damage to the Real Property exceeding ten percent (10%) of the Purchase Price, then Seller may elect to either repair the damages, provide credit at Settlement, or terminate the Purchase and Sale Agreement.
34. Time is Of the Essence. Time is of the Essence with respect to the purchase and sale of the Real Property.
35. Bidder and Bidder’s heirs, transferees, administrators, personal representatives, trustees, successors and assigns, forever waive, release, discharge and hold Alderfer Auction harmless, from any claim it has, might have had, or may have against Alderfer Auction with respect to:
35.1. The condition of the Premises, either patent or latent, of any nature whatsoever, including environmental contamination;
35.2. Buyer's ability or inability to obtain or maintain building permits, temporary or final certificates of occupancy or other licenses for the use or operation of the Premises, and/or certificates of compliance for the Premises;
35.3. The actual or potential income or profits to be derived from the Premises;
35.4 Any other state of facts which exist with respect to the Premises which at the time of closing were not the subject of actual knowledge on the part of Seller.
36. Conduct of the Auction. Auctioneer will regulate all matters relating to the conduct of the Auction and Auctioneer’s decisions will be final and binding. Auctioneer will have control over bidding, and Auctioneer will resolve any and all disputes. Auctioneer may, in Auctioneer’s sole and absolute discretion, reopen the bidding (but will not be required to) if (i) a bid is made while the hammer is falling in acceptance of a prior bid or while bidding is otherwise being terminated, or (ii) promptly after the Property is declared sold or other termination of the bidding Auctioneer is made aware of a bid that was unnoticed prior to termination of the bidding, and it is demonstrated to Auctioneer’s satisfaction that such bid was, in fact, timely made, or (iii) promptly after the Property is declared sold or other termination of the bidding Auctioneer is made aware that Auctioneer and a bid assistant or ringman, or multiple bid assistants or ringmen, have acknowledged bids in the same amount bid from different bidders, or (iv) Auctioneer is made aware that one or more online bids were timely tendered but not posted, or (v) some other bid dispute arises. Any contract formed with the fall of the hammer will be subject to the conditions set forth in this Section. If bidding is reopened pursuant to this Section, the bid recognized by Auctioneer prior to the reopening of the bidding will be held, and may not be retracted, and, if no further bids are received, such bid will be the winning bid.
37. Indemnification. Each Bidder agrees to indemnify and hold Auctioneer and Seller harmless from any current or future claim regarding the Auction or the Property, including, without being limited to, fitness, use, damage, safety, or injuries to persons or property.
38. Private Sale. Any participant or registered bidder who enters into an agreement with Seller for the purchase of the Property prior to or during the Auction, or within sixty (60) days after the date of the Auction, agrees to pay Auctioneer an amount equal to Auctioneer’s Buyer’s Premium (calculated as a percentage of the agreed purchase price or the fair market value of the Property, whichever is greater).
39. Waiver. Certain provisions of these Bidder Terms and Conditions are for the exclusive benefit of Auctioneer and/or Seller(s). Such provisions, including, without being limited to, bidder registration and qualification requirements, deposit and payment terms (including the method, form, and timing of payment), and Property inspection terms), do not create, and will not be deemed to create, any benefits or rights in favor of any other persons, including competing bidders, and may not be enforced by any other persons. Either globally or on a case-by-case basis Auctioneer and/or Seller may (but will not be required to) waive any provisions of these Bidder Terms and Conditions that are intended for the benefit of Auctioneer and/or Seller.
40. Governing Law; Jurisdiction; Venue; Waiver of Jury Trial. These Bidder Terms and Conditions will be governed by and construed in accordance with the laws of the Commonwealth of Pennsylvania, including its statutes of limitations, but without regard to its rules governing conflict of laws. All claims, disputes, and other matters between the parties will be brought in the state or federal courts sitting in and for the Montgomery County, Pennsylvania, which courts will have exclusive jurisdiction, and will be the exclusive venue, for any and all such claims, disputes, and other matters. By submitting a Bidder Registration and accepting a Bidder Number each Registered Bidder irrevocably and unconditionally (i) agrees that any claim, suit or cause of action relating to these Bidder Terms and Conditions, or the transactions contemplated hereby, will be brought in the state or federal courts sitting in and for the Montgomery County, Pennsylvania; (ii) consents to the jurisdiction of such courts for any such claim, suit or cause of action; (iii) waives any objection that such party may have to the laying of venue of any such claim, suit or cause of action in such courts; and (iv) waives any objection to the bringing of such claim, suit or cause of action in such courts on the grounds of forum non conveniens. Each Bidder, Buyer, and other Participant waives the right to a jury trial.
41. Attorneys’ Fees. If any Participant breaches such Participant’s obligations under these Bidder Terms and Conditions, Auctioneer and/or Seller will be entitled to recover all costs and expenses, including attorneys’ fees incurred in enforcing their respective rights hereunder.
42. Electronic or Digital Signature. This Agreement may be executed by way of facsimile or electronic or digital signature, and each such signature will be deemed an original signature, with the same force and effect as if applied manually.
43. As of June 17, 2021, Alderfer Auction could not confirm the ingress and egress for any of the properties listed for the auction on July 22, 2021:
- Tract 1: 6-unit apartment complex at 714 Maple Ave. (Parcel #050006268009)
- Tract 2: Garage – (Parcel #05000628054)
- Tract 3: Vacant Lot 1 (Parcel #050000576001) and Lot 2 (Parcel #050000776002)
It is the buyer’s responsibility to do their due diligence for any zoning and ordinance requirements for the stated properties.
IN WITNESS WHEREOF, the parties have hereunto set their hands and seals on, July 22, 2021.
________________________________SELLER
________________________________SELLER
________________________________BUYER _________________SSN
________________________________BUYER _________________SSN



