Welcome to 714 Maple Street in Conshohocken! Alderfer Auction presents a fantastic investment opportunity in this highly desirable Borough of Conshohocken located minutes from Philadelphia and King of Prussia.
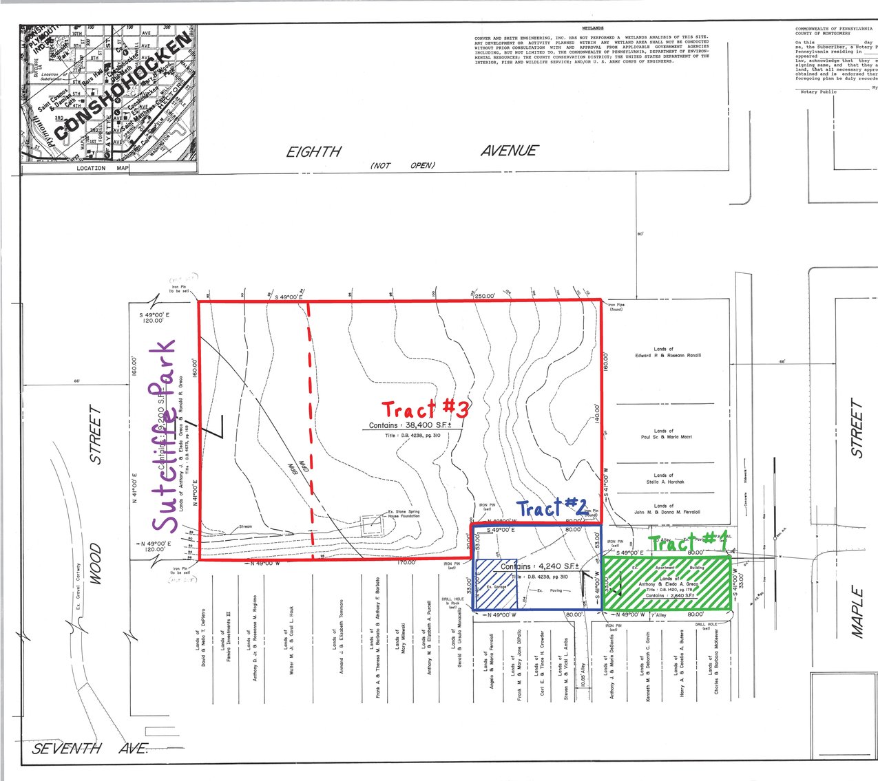
Parcel 1 is a 5,120 sq, ft. apartment complex with 6 units, of which 3 are occupied. 5 of the units feature 1 bedroom, and 1 unit features 2 bedrooms. Situated on .06 acres and located steps away from Sutcliffe Park, this property features convenient commuter access to major highways as well as shopping, restaurants and schools.
This tract will be sold separately and in conjunction with 2 other tracts to include: Tract 2: 3-Car Garage/Storage Building; and Tract 3 - two lots of vacant land on West Eighth Avenue to be sold individually or together, totaling 1.3 acres.
Tract 1 along with Tracts 2 and 3 will be sold via Multi-Parcel Auction held live on site in Conshohocken and by phone on Thursday, July 22nd at 4:00 PM.
Address: 714 Maple St., Conshohocken, PA 19428
OPEN HOUSES:
To better assist you, appointments are preferred -
CLICK HERE to sign up
Saturday, June 19th from 1:00 PM - 4:00 PM
Wednesday, June 30th from 2:00 PM - 5:00 PM
Thursday, July 8th from 2:00 PM - 5:00 PM
NOTE: Units 1, 4 and 6 will be available for previewing at any time. Units 2, 3 and 5 are occupied and are only available for previewing during scheduled Open House times.
Realtor-assisted showings available any time for unoccupied properties and vacant land. Email RealEstate@AlderferAuction.com
Broker participation is welcome!
Registration day of auction will begin at 3:00 PM
Sale is subject to seller confirmation
A 6% Buyer’s Premium will be added to the hammer price to determine final purchase price
The winning bidder will hand deliver the certified funds or cash for $10,000 per tract at time of auction.
Settlement on or before September 30, 2021
See below for more information about Multi Parcel auctions.
View Tract 1 Tax and Property Information
View Tract 1 Terms and Conditions
View Tract 1 Broker Agent Registration and Absentee Bid Registration
View Room Measurements for Units 1, 4 and 6
Zoning is BR1 Residential District One -
Alderfer Auction will be adhering to all COVID-19 Guidelines.
For all inquiries, contact Alderfer Auction's Real Estate Team
Sherry Russell | Real Estate Specialist
RealEstate@AlderferAuction.com | 215-393-3000











